4/16 知多・片名港の釣果情報・ジャンボイサキ好調‼️|おざき丸

愛知県・知多半島の片名港から出船しているおざき丸です!

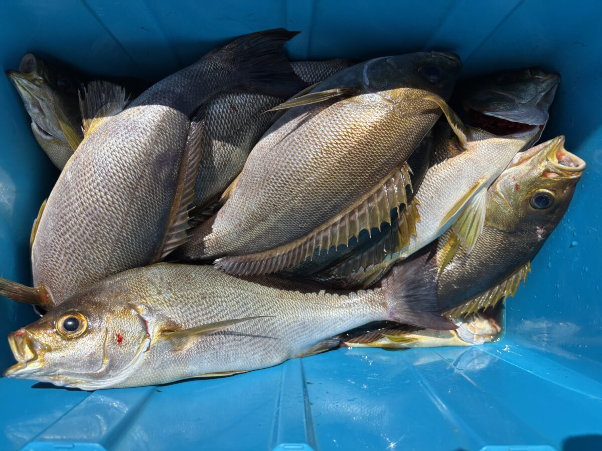
波、風ありましたので少々早上がりとなりましたがバッチリ釣れました。

明日もこの調子でいきたいですね。

本日の釣果写真

明日も大山沖イサキ釣り出船します!

明日は満員です。

\最新釣果を確認して下さい/

\ご予約はお電話にて/

よかったらシェアしてね!
  • URLをコピーしました!
  • URLをコピーしました!
目次